Chiloé; Tribunal Ambiental autorizó clausura del Vertedero Dicham
7 de agosto de 2023

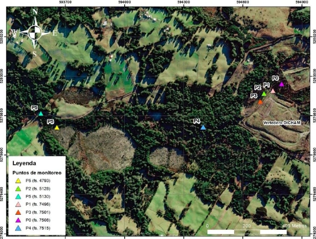
El Tribunal rechazó la reclamación presentada por la empresa contra la SMA

El Tribunal rechazó la reclamación presentada por la empresa contra la Superintendencia del Medio Ambiente, que ordenó medidas y la clausura total y definitiva del proyectoDe manera unánime, el Tercer Tribunal Ambiental rechazó la reclamación interpuesta por el titular del Vertedero Industrial Dicham contra la Resolución de la Superintendencia del Medio Ambiente (SMA), que resolvió el procedimiento administrativo sancionatorio contra la empresa, aplicando una serie de medidas y sanciones, entre ellas, la clausura total y definitiva del proyecto.


hace 11 días
El tribunal acogió los medios probatorios presentados por el Ministerio Público.

hace 17 horas
Actualmente, el proyecto registra un avance cer

hace 19 horas
El alumno de la escuela "Luis Segovia Ross" de Caulín sigue superando sus marcas personales.

hace 19 horas
Siguen los anegamientos por las fuertes lluvias en calle "18".

hace 19 horas
La mega obra más importante del país podría ser entregada el 2030.

hace un día
Personal del SAMU constató el fallecimiento del hombre en el sitio del hecho.

hace 3 días
La concurrida vía se vio afectada por las fuertes precipitaciones anunciadas para la zona.

hace 3 días
El exdiputado de la UDI fue confirmado este viernes en el máximo cargo político en la provincia.

hace 3 días
El Colegio de Profesores acusó falta de claridad respecto de los plazos para iniciar el pago de los recursos.

hace 3 días
El establecimiento educacional quedará materializado a partir de junio próximo.

hace 6 días
Un amplio operativo se mantiene desplegado en la comuna lacustre para dar con el autor de los hechos.

hace 7 días
Por este sector se espera que cruce la doble calzada que comenzará en Chacao.

hace 8 días
Un grupo de mujeres de Ancud reivindicó los nombres de figuras que han hecho su aporte al desarrollo del Archipiélago.

hace 11 días
La droga era transportada en envoltorios destinados a su comercialización.

hace 11 días
El edificio se ubica a un costado del Liceo Polivalente en la calle Almirante Latorre.

hace 11 días
El tribunal acogió los medios probatorios presentados por el Ministerio Público.

hace 17 horas
Actualmente, el proyecto registra un avance cer



















